Notizie Flash - Pagina 11

Lazio: portiere Thomas Strakosha

Lazionali: assist per Berisha, Strakosha ne prende 4

redazionecittaceleste

ROMA - Non sono Ciro Immobile Francesco Acerbi, nella serata di ieri sono scesi in campo - con le rispettive Nazionali per le qualificazioni ad Euro2020 - altri tre giocatori della Lazio: Valon…

cafu-inzaghi

Tragedia Cafu, muore il figlio durante una partita di calcio

redazionecittaceleste

ROMA - L'ex terzino di Roma e Milan, Marcos Cafu, ha perso il figlio di 30 anni Danilo Feliciano De Moraes per un infarto fulminante. Il ragazzo stava giocando a calcio nella residenza di famiglia a…

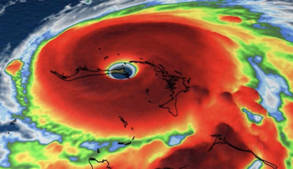
Ultime notizie - Uragano Dorian, che tragedia

Uragano Dorian, Arriva un annuncio terrificante - Ultime notizie

redazionecittaceleste

Arrivano parole pesantissime dopo il disastro che l'uragano Dorian ha provocato alle Bahamas. I venti che raggiungono i 300 chilometri orari, rendono Dorian l'uragano più violento dal 1980, quando…

Uragano Dorian: video pazzesco - Ultime notizie

Uragano Dorian, ecco il video che terrorizza tutti - Ultime notizie

redazionecittaceleste

Su RadioIncontroOlympia abbiamo raccolto la testimonianza di un ragazzo di nome Marco che vive a Miami dove arriverà l’uragano Dorian: “Siamo in casa, qui sono costruite per resistere agli eventi…

Ultime notizie Governo, l'ultima idea di Di Maio

Governo, Di Maio prepara il colpo di scena? - Ultime notizie

redazionecittaceleste

Il Corriere della Sera fa il punto della situazione rispetto a quelle che sono le ultime notizie sulla situazione di governo. Stando a quanto si legge, Di Maio avrebbe in mente un'idea: proporre…

Darmian-Zappacosta

Ultim'ora: Zappacosta non scenderà in campo, problemi muscolari

redazionecittaceleste

ROMA - Novità dell'ultimo secondo in casa Roma: Davide Zappacosta non prenderà parti al derby capitolino. Il giocatore sarebbe dovuto scendere in campo dal primo minuto, ma un problema muscolare lo ha…

Mercato Lazio, si guarda ai giovani: tre gioielli sui radar biancocelesti

Lazio-Roma, i convocati di Inzaghi: solo tre esclusioni

redazionecittaceleste

ROMA - Mancano pochissime ore al fischio d'inizio del derby della capitale, Lazio-Roma promette grande spettacolo. Nel frattempo Simone Inzaghi, tecnico della compagine biancoceleste, ha diramato la…

Curva Nord, il cuore del tifo biancoceleste.

Derby, Curva Nord: "Silenzio nel primo tempo, bolgia nel secondo"

redazionecittaceleste

ROMA - Mancano due giorni al tanto atteso derby della capitale, ed i tifosi delle due compagini stanno preparandosi in vista dell'appuntamento. Nel dettaglio la Lazio, quindi la Curva Nord, ha…

Uruguay v France: Quarter Final - 2018 FIFA World Cup Russia

Ex Lazio, Caceres firma con la Fiorentina

redazionecittaceleste

ROMA - Martin Caceres trova una nuova squadra, il difensore uruguayano dopo aver vissuto l'ultima stagione alla Lazio prima e alla Juventus poi, era rimasto senza squadra e figurava tra i giocatori…

lazio

Verso il derby, squadra che vince non si cambia?

redazionecittaceleste

ROMA - Le indicazioni tattiche inizieranno a trapelare dopo l'allenamento di questo pomeriggio, ma qualcosa già sta emergendo dal quartier generale di Formello: al derby dovrebbe essere riproposta la…

Ultime notizie - Fantasma: video pazzesco

Fantasma in casa? Il video fa il giro del mondo - Ultime notizie

redazionecittaceleste

Effetto ottico? Suggestione? Video ritoccato? Giudicate voi. Di sicuro c'è che questo video pubblicato da Joey Nolan, sta facendo il giro del mondo. Da quando lo ha condiviso online, il video, ha…

whatsapp-image-2019-08-26-at-20-49-58

San Siro, coreografia per Diabolik da parte della Curva Nord - FOTO

redazionecittaceleste

ROMA - L'amicizia che lega Lazio ed Inter non è scemata nel corso degli anni, nonostante le squadre si siano più volte date battaglia in campo per gli stessi obiettivi. Inoltre, la tragica a scompara…

Acerbi

Acerbi l'immortale: l'ultima sostituzione risale al 2013

redazionecittaceleste

ROMA - Al minuto 36 di Sampdoria-Lazio, la lavagna del quarto uomo ha esposto allo stadio il numero 33 in rosso: Francesco Acerbi è stato richiamato in panchina da Simone Inzaghi. Un avvenimento…

bigliettiderby

Verso il derby - 4800 tagliandi staccati, Nord quasi esaurita

redazionecittaceleste

ROMA - Il campionato si appresta a ricominciare, domani sera la Lazio inaugurerà la stagione in quel di Genova contro la Sampdoria ma - come è logico che sia - la testa dei tifosi è già al derby del…

Uruguay v France: Quarter Final - 2018 FIFA World Cup Russia

Ex Lazio, Caceres verso il Monaco: pronto un biennale

redazionecittaceleste

ROMA - Dopo i sei mesi di Juventus, Martin Caceres è rimasto senza squadra: l'uruguayano ex Lazio è attualmente svincolato. Ma potrebbe esserlo ancora per poco: secondo Tuttomercatoweb il giocatore…

Christian Ledesma, ex centrocampista della Lazio

Ledesma, l'ex Lazio può raggiungere Stendardo alla Luiss

redazionecittaceleste

ROMA - L'ateneo della LUISS sta diventando sede di ex laziali, dopo Stendardo - che riveste il ruolo di giocatore del club e di professore associato - e Rambaudi, può approdare anche Cristian Ledesma.